$5,490,000
1,632
SQ FT
$3,364
SQ/FT
10621 Madera Drive
@ Phar Lap Dr - 18 - Cupertino, Cupertino
- 3 Bed
- 2 Bath
- 2 Park
- 1,632 sqft
- Cupertino
-
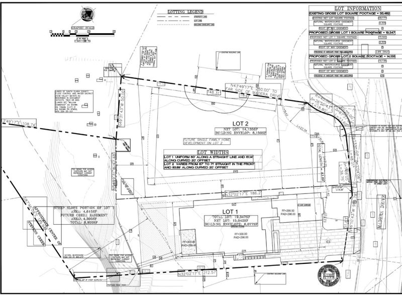
An exceptional development opportunity in a prime Cupertino location for DEVELOPERS & BUILDERS. This expansive 0.77 acre creekside parcel comes with an approved tentative map for a 2-lot subdivision. The property currently includes a single story SFR in original condition. LOT 1 offers a 15,042 SqFt gross lot with 10,427 SqFt of net usable area, extending into a scenic hillside with access down to Stevens Creek. Planning approval is in place for a 2-story, 4,383 SqFt home with 5 beds/4.5 baths, 3-car garage, & a JADU. LOT 2 features a flat 14,135 SqFt lot, ideal for a large custom home & also SB-9 eligible. Conveniently located near Stevens Creek Blvd, Foothill Expwy, & Highways 85/280, the property provides connectivity while remaining tucked into a desirable quiet residential setting within the sought-after Cupertino School District (Monta Vista & Kennedy). The site provides close proximity to Apple Park & Silicon Valley tech companies, making it ideal for both end-users & developers targeting executive-level housing. All design, engineering, surveys, studies, reports and approval documents are available upon request. Buyers to conduct their own due diligence, verification, and confirmation of development potential with the City of Cupertino.
- Days on Market
- 4 days
- Current Status
- Active
- Original Price
- $5,490,000
- List Price
- $5,490,000
- On Market Date
- Feb 3, 2026
- Property Type
- Single Family Home
- Area
- 18 - Cupertino
- Zip Code
- 95014
- MLS ID
- ML82033535
- APN
- 326-35-061
- Year Built
- 1958
- Stories in Building
- Unavailable
- Possession
- Unavailable
- Data Source
- MLSL
- Origin MLS System
- MLSListings, Inc.
Stevens Creek Elementary School
Public K-5 Elementary
Students: 582 Distance: 0.4mi
West Valley Elementary School
Public K-5 Elementary
Students: 554 Distance: 0.5mi
Cupertino Middle School
Public 6-8 Middle
Students: 1358 Distance: 0.6mi
Homestead High School
Public 9-12 Secondary
Students: 2425 Distance: 0.7mi
Garden Gate Elementary School
Public K-5 Elementary
Students: 576 Distance: 0.9mi
Creative Learning Center
Private K-12
Students: 26 Distance: 1.0mi
- Bed
- 3
- Bath
- 2
- Parking
- 2
- Attached Garage
- SQ FT
- 1,632
- SQ FT Source
- Unavailable
- Lot SQ FT
- 33,482.0
- Lot Acres
- 0.768641 Acres
- Cooling
- Other
- Dining Room
- Other
- Disclosures
- Natural Hazard Disclosure
- Family Room
- Other
- Foundation
- Other
- Heating
- Other
- Fee
- Unavailable
MLS and other Information regarding properties for sale as shown in Theo have been obtained from various sources such as sellers, public records, agents and other third parties. This information may relate to the condition of the property, permitted or unpermitted uses, zoning, square footage, lot size/acreage or other matters affecting value or desirability. Unless otherwise indicated in writing, neither brokers, agents nor Theo have verified, or will verify, such information. If any such information is important to buyer in determining whether to buy, the price to pay or intended use of the property, buyer is urged to conduct their own investigation with qualified professionals, satisfy themselves with respect to that information, and to rely solely on the results of that investigation.
School data provided by GreatSchools. School service boundaries are intended to be used as reference only. To verify enrollment eligibility for a property, contact the school directly.












